Header

Grey Damsel Bug Himacerus major


This was found by suction alongside several smaller Ant Damsel Bugs Himacerus mirmicoides. Only a couple of days before I processed them I had been looking at a photo of Grey Damsel Bug and familiarising myself with the key identification features so as soon as I looked at my photo of this one I recognised it.

Himacerus major
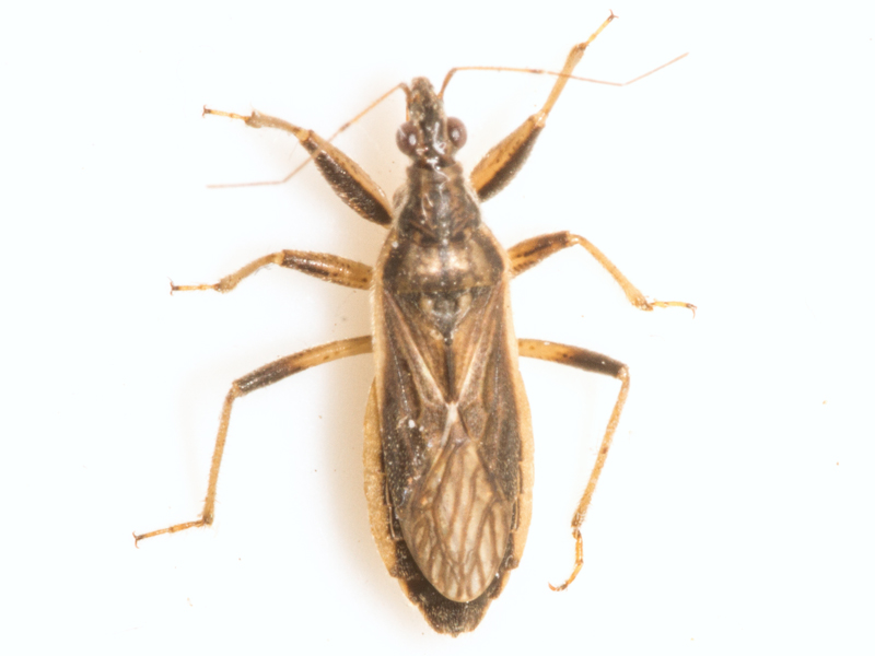
Grey Damsel Bug Himacerus major, Wendling Beck Environment Project (Norfolk, UK), 26th September 2025


This was found by suction the same day but at a slightly different site.

Himacerus major Himacerus major
Grey Damsel Bug Himacerus major, Wendling Beck Environment Project (Norfolk, UK), 26th September 2025