Header

Stenus ossium


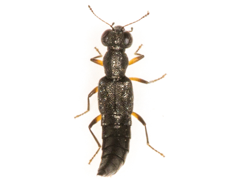
This was found by suction. The dead and doubtlessly contracted specimen was 3.5mm but more helpfully (at least when using Duff), the foreparts were 2.0mm long. It keyed to ossium using Lott & Anderson and Duff. Some of the descriptions of strength of punctures seemed rather understated but these were all relative and the punctures on my specimen don't seem too different from photos of ossium online. I don't think any of the couplets relied entirely on the punctures. Duff does not show spermathecae for this genus; the German Beetles of Europe wesbite (coleonet.de) shows them for just a minority of species - these include ossium but not subaeneus which is the most similar species. However the fifth visible tergite showed reticulated microsculpture so I think we can rule out the scarcer subaeneus.

Stenus ossium Stenus ossium Stenus ossium Stenus ossium Stenus ossium Stenus ossium Stenus ossium Stenus ossium Stenus ossium
female Stenus ossium showing foreparts, basal tergites, 5th visible tergite, apical tergites, hind leg, hind tarsus and spermatheca (2 views), Wendling Beck Environment Project (Norfolk, UK), 25th August 2025


These two were also found by suction. The appendages of the female had darkened a bit by the time I examined it, making it hard to determine what colour they should have been, so I wasn't entirely convinced it couldn't be Stenus palustris. However when I went on to examine the male I became more convinced that they were both ossium and the genitalia of the male confirmed that at least that one was.

Stenus ossium Stenus ossium Stenus ossium Stenus ossium Stenus ossium Stenus ossium Stenus ossium Stenus ossium Stenus ossium Stenus ossium Stenus ossium
female Stenus ossium showing hind tarsus, antenna, maxillary palps, head and pronotum, elytra, tergites and spermatheca, Wendling Beck Environment Project (Norfolk, UK), 26th September 2025


The median lobe didn't exactly match the diagram in Lott & Anderson (or Duff) but I suspected it was due to some of the central parts having been displaced. Sure enough the photos at the Beetles of Europe website (coleonet.de) look just like mine.

Stenus ossium Stenus ossium Stenus ossium Stenus ossium Stenus ossium Stenus ossium Stenus ossium Stenus ossium Stenus ossium Stenus ossium Stenus ossium Stenus ossium
male Stenus ossium showing hind tarsus, hind tarsomere 4, maxillary palps and aedeagus (6 views), Wendling Beck Environment Project (Norfolk, UK), 26th September 2025