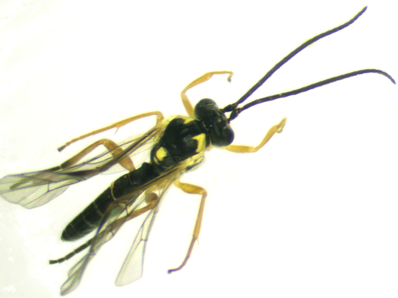
Syrphoctonus tarsatorius
I netted this flying around a Walnut tree. I started off the ID by picture matching with help from AI, resulting in a plausible match to Syrphoctonus tarsatorius. I then turned to Klopfstein's 2014 Revision of the Western Palaearctic Diplazontinae and initially tried back-keying it from tarsatorius. Certainly if it was Syrphoctonus then tarsatorius was correct, but I had a bit more of a struggle confirming I'd got the correct genus. Although I wasn't entirely sure what I was looking for, I couldn't initially see the tyloids on the antennae which should be present on this genus. I struggled seeing some of the other detail needed in the genus key (e.g. position of spiracles on third tergite) but as far as I could tell the no-tyloids option led to a dead-end. After a bit more research about what tyloids should look like I had another look at the antennae in side view and could just make out a groove going along the sides of the segments which I *think* must be tyloids, and in that case I think Syrphoctonus is correct.
		, Hill Farm Park, 27-Jun-25 (A) (1).jpg) 
		, Hill Farm Park, 27-Jun-25 (A) (3).jpg) 
		, Hill Farm Park, 27-Jun-25 (A) (4).jpg) 
		, Hill Farm Park, 27-Jun-25 (A) (2).jpg) 
		, Hill Farm Park, 27-Jun-25 (A) (7).jpg) 
		, Hill Farm Park, 27-Jun-25 (A) (10).jpg) 
		, Hill Farm Park, 27-Jun-25 (A) (8).jpg) 
		, Hill Farm Park, 27-Jun-25 (A) (9).jpg) 
		, Hill Farm Park, 27-Jun-25 (A) (5).jpg) 
		, Hill Farm Park, 27-Jun-25 (A) (6).jpg) 
		, Hill Farm Park, 27-Jun-25 (A) (11).jpg) 
	
	male Syrphoctonus tarsatorius showing clypeus, antennal tyloids (I think) and wings (Norfolk, UK), 30th April 2023
