Header

Plateumaris sericea


This was found in a verge along the minor road to Glengorm Castle.

Plateumaris sericea Plateumaris sericea Plateumaris sericea
Plateumaris sericea, Glengorm Road, Tobermory, Mull (Argyle & Bute, UK), 12th June 2019


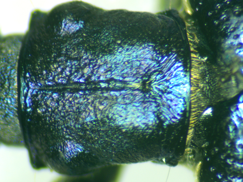
The next two were found on or around Yellow Flag Iris (there were two of the dark blue types but I only retained one). I attempted to key them before realising that the plant was a significant clue, and without being certain whether or not they were both the same species. They both keyed easily to Plateumaris discolor/sericea using Duff but telling these apart was a bit trickier. There seemed to be some minor differences in the pronotum sculpture between the two individuals and also the relative lengths of the first four antennal segments, both important characters for telling the two apart, but neither seemed to match discolor well - though at first I wasn't convinced they matched sericea perfectly either. Hackston added a difference in the colour of the hairs on the underparts. The golden hairs on the blue beetle stood out, whereas on the golden-brown beetle they were harder to see as they blended in against the very similar background colour, but although the overall appearance was different because of the different background colours, the actual colour of the hairs was the exactly the same.

I had pretty much settled on both being sericea before checking the genitalia. I checked the blue one first, a male, which confirmed sericea. The golden-brown one also contained a structure that looked uncannily similar to an aedeagus to me but it didn't match any of the Plateumaris aedeagi so I wondered if it might in fact be a female part. This was confirmed when I fonud the spermatheca. The spermathecae aren't shown for this genus in any of the references I have seen except that European Beetles website coleonet.de shows the spermatheca for Plateumaris consimilis, so this didn't help (or hinder) my ID.

In the photos below the blue male is always shown before the golden female. The female specimen had become a bit mouldy but everything important was still visible. The species has considerable variation in colour forms but as far as I am aware these are not linked to sex.

Plateumaris sericea Plateumaris sericea Plateumaris sericea Plateumaris sericea Plateumaris sericea Plateumaris sericea Plateumaris sericea Plateumaris sericea Plateumaris sericea Plateumaris sericea Plateumaris sericea Plateumaris sericea Plateumaris sericea Plateumaris sericea Plateumaris sericea Plateumaris sericea Plateumaris sericea Plateumaris sericea Plateumaris sericea Plateumaris sericea Plateumaris sericea Plateumaris sericea Plateumaris sericea
male and female Plateumaris sericea showing elytral apices with inverted suture, sternites, elytral depressions, pronotums, antennae (first four segments), hairs on sternite sides and genitalia (aedeagus of male, unknown part of female and spermatheca of female), Wendling Beck Environment Project (Norfolk, UK), 4th June 2025