Ophonus rufibarbis
I have really struggled with identifying these! I find most of the most of the most relevant external characters hard to interpret. As such most of these identifications are somewhat provisional. This is meant to be the commonest member of the genus so it makes sense that I should be finding them, but not all characters seem to match perfectly. Although I have had one male that seemed to tick all the boxes, none of these problematic ones ever seem to be males, and the one that was turned out to be the much rarer Ophonus melletii.
The characters I am struggling with are:
- Pronotum shape/width: Duff says puncticeps has a narrower pronotum, clearly narrower than the elytra at the humeri. It's not clear to me whether I should be comparing the width of the pronotum at the base, i.e. next to where I'm meausring the elytra (at the humeri) or at its widest point, but either way I cannot see this difference consistently when reviewing photos of puncticeps and rufibarbis online that others have identified. Having said that, I'm happy that none of the beetles featured below are puncticeps as I've had a number of these, many of which have been males so I've been able to check genitalia, and all have a different arrangement of long hairs on the side of the pronotum (a single hair much longer than any others).
- Marginal bead on the pronotum: I am completely unable to see this on the genitalically confirmed Ophonus melletii which is supposed to show this, so not being able to see it doesn't seem to be helpful.
- Number of lateral trichobothria on the pronotum: I am not entirely clear what the difference is between a hair, a seta, a trichobothrium and a bristle, except that they seem to be used on average in this order to describe the thinnest flimsiest (hair) to the thickest and stiffest (bristle). Usage of the various terms seems to overlap. Duff's glossary specifies that trichobothrium has a sensory function and is set in a bothrium, and bothrium is defined as a small crater or mound - but it's not clear to me that being set in a small crater or pit is sufficient to identify it as a trichobothrium. Hackston's keys refer to long bristles where Duff refers to trichobothria - I assume they are both talking about the same things. All of the beetles on this page had one very long hair near the middle of the pronotum and about three other hairs between that and the front angle that are longer than the majority of small hairs, with these being of decreasing length as you near the front. I cannot see any clear differences in the hairs or their settings that enable me to identify any of these as defininitely trichobothria or definitely not trichobothria. On the basis that there are more than one of them, I have ruled out the species that are supposed to have only one tricobothrium (melletii and subsinuatus according to Duff, and also puncticeps using Hackston, which fits with my experience of puncticeps). However, my male malletii, and photos of malletii online, appear to have multiple long hairs in the same configuration as the beetles shown below, so I am now wondering whether I can really eliminate the possibilty that others of these are also malletii (or subsinuatus in theory)?
- Puncturing on the pronotal disc: according to Duff the pronotal disc should be "very sparingly punctate, almost impunctate" on rufibarbis, vs. "about as closely punctate as the pronotal margins" on schaubergerianus. My specimens show some variation but all of them are in between these two options, clearly less punctate on the disc than at the margins but far from impunctate. More sparingly punctate, but not very sparingly punctate. Hackston's description of the pronotal punctures is a little simpler: "much sparser towards the middle than the sides" for rufibarbis vs. "not markedly sparser on the top than at the sides" for schaubergerianus. On that basis I eventually concluded that my specimens fit rufibarbis much better than schaubergerianus. Previously I had identified some of the more punctate examples as schaubergerianus but after examining more I decided they were all more likely rufibarbis, but honestly neither description really fits perfectly. Of course if they are in fact neither rufibarbis or schaubergerianus, then this might explain why I am struggling with this feature!
- Number of rows of punctures on the inner elytral intervals: according to Duff rufibarbis has two or three rows whereas on schaubergerianus the intervals each mostly have four rows. This is similar in Hackston's key. The punctures aren't arranged in particularly tidy rows so this isn't always easy to assess, but on the first individual below there were clearly only 3 punctures in a loose row in some places, but clearly 4 in some places, and even 5 sometimes. There's a high quality image of rufibarbis by Udo Schmidt at Flickr. The puncturing on the 4th interval outwards is easiest to see and there are clearly 4-5 punctures wide in places here, but does the 4th interval count as one of the "inner intervals"? Probably not, but that begs the question, what exactly do Duff and Hackston mean by the "inner intervals". Could they be specifically referring to the one and only one innermost interval on each elytron, i.e. the one adjacent to the suture, or do they mean any of the intervals that are relatively close to the suture, i.e. including the second and perhaps the third intervals at least. I think the latter is a better understanding of the words used, at least as I understand the English language - it's the difference between inner and innermost. The innermost intervals are the two adjacent to the suture, and the inner intervals include at least 1-2 of the next intervals out. But if the authors are referring only to the innermost intervals then this makes a big difference, and whether it's what they meant or not, based on the images I can find of the two species online I think it perhaps should be what they meant. Udo Schmidt's photo does show only 3 punctures in rows on the innermost interval, at least for most of the length. And the best quality photos I can find of schaubergerianus do seem to show 4 punctures on this innermost interval. So I think maybe the innermost interval is the only one that really matters here, not any of the other intervals that might be included within a undefined description of inner intervals. As with the puncturing on the pronotal disc, if these are in fact neither rufibarbis or schaubergerianus, then this might again explain why I am struggling with this feature too!
On the basis that the number of long hairs on the side of the pronotum seemingly ruled out other options I had taken it that these must be either rufibarbis or schaubergerianus, and on balance rufibarbis was the best fit out of these two. Now that I know that melletii actually has a similar arrangement of hairs on the side of the pronotum and does occur, or at least has occurred, in my garden (despite supposedly being rare) I am wondering whether or not it really is safe to call these rufibarbis. Hopefully in future I will catch more males which will enable me to be more confident about these, but in the meantime if you have any insight about any of the points that are confusing me, please get in touch!
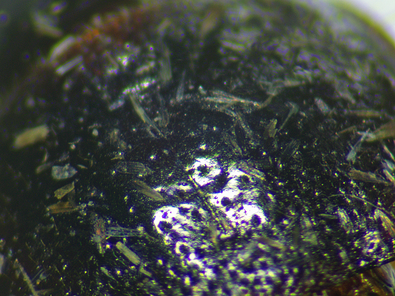
On this one there are large gaps between the punctures on the pronotal disc, clearly more sparsely punctured than on the margins. There are one or two places where there are four punctures across the innermost interval, but in these places the punctures aren't in anything like a straight line so it's questionable whether you could describe it as a row of four punctures. Where they are arranged in anything like rows they are only 3 deep.
female Ophonus rufibarbis (?) showing pronotum and elytra (2 views), North Elmham (Norfolk, UK), 10th August 2023
On the next three the contrast between the punctures at the disc of the pronotum and the sides was less clear, but they were less closely punctured on the disc than at the margins. When I first examined them I didn't feel the contrast was sufficient for rufibarbis, especially with Duff's description of "almost impunctate", and I tentatively labelled them as possible candidates for schaubergerianus. But after examining the one above, and while assuming they must be either rufibarbis or schaubergerianus based on their being too many lateral pronotal long hairs for melletii etc., I felt that they were more likely to be rufibarbis. As far as I can see, the innermost interval does only have 3 punctures across at least for much of their length, supporting that conclusion. The second and third intervals often have 4-5, but if I'm right in concluding that it's only the interval that's adjacent to the suture that counts, then this doesn't matter. Following my subsequent experience with melletii I am now wondering whether I can be sure that it is a choice between rufibarbis and schaubergerianus, or if it is possible that these are also melletii?
female Ophonus rufibarbis (?) showing pronotum and elytra, Wendling Beck Project (Norfolk, UK), 21st August 2023
female Ophonus rufibarbis (?) showing pronotum (from above and below showing the side-bristles) and genitalia, North Elmham (Norfolk, UK), 26th June 2020
I examined at the same time as the last one. The four bristles on the side of the pronotum were clearly different from the puncticeps I examined with them, and the contrast between the blacker elytra and redder head and thorax was very apparent.
female Ophonus rufibarbis (?) showing side of pronotum and centre of elytra, North Elmham (Norfolk, UK), 17th June 2022
female Ophonus rufibarbis (?) showing pronotum and centre of elytra, North Elmham (Norfolk, UK), 11th August 2023
These two turned up in my garden moth trap during an exceptional night for beetles (over 240 comprising 18 species). There was also an Ophonus puncticeps with them which provided a good opportunity to compare that with these. The pronotum was noticeably more punctate on the puncticeps. On both of these two the discal punctures were sparser and shallower than at the sides.
2x female Ophonus rufibarbis both showing side of pronotum and pronotum from above, North Elmham (Norfolk, UK), 12th August 2024
Here are the last beetles either side of the male Ophonus puncticeps caught with them. Note that the puncticeps in the middle is slightly further back than the two presumed rufibarbis - it was not shorter (at least barely so - they were all almost exactly the same length). You can see the difference in pronotum shape here - it looks noticeably smaller (especially narrower) on the puncticeps, but I still find this very difficult to assess when I cannot compare them side by side.
male Ophonus puncticeps (centre) between 2 female Ophion rufibarbis (?), North Elmham (Norfolk, UK), 12th August 2024
This one was in my moth trap together with the male Ophonus melletii. It was much larger than the melletii, but I think both were just about within the quoted size ranges for both species. This individual was almost impunctate on the inner elytral intervals (which the melletii wasn't).
female Ophion rufibarbis (?) showing pronotum (2 focuses to show lateral hairs and discal punctures), elytra and genitalia, North Elmham (Norfolk, UK), 21st June 2025
This one had quite weak punctures on the pronotal disc and inner elytral interval, which made it difficult to assess.
female Ophion rufibarbis (?) showing pronotum, hairs on side of pronotum and elytra, North Elmham (Norfolk, UK), 18th July 2025
female Ophion rufibarbis (?), North Elmham (Norfolk, UK), 13th August 2024
Of all the rufibarbis candidates that I've had this one seems to have the greatest contrast between the strongly punctured pronotal sides and the sparsely punctured pronotal disc, and it seems to tick all the boxes for rufibarbis. I dissected it at the time and it proved to be a male, though much to my regret I do not appear to have photographed its aedeagus. Given the struggles I've had with the genus I wish I had done so, but evidently at the time I felt that it supported my ID as rufibarbis.
male Ophion rufibarbis showing pronotum, hairs on side of pronotum and elytra, North Elmham (Norfolk, UK), 22nd August 2023