Oedemera lurida
I've often encountered what I thought was this species, smallish sage-green Oedemera, only to be put off from the identification by a clear gap between the elytra. The keys seem to suggest that this points to nobilis and I think I have occasionally misidentified this species as nobilis. More often I've left them unidentified but struggled to make sense of it. At first I was using Hackston's key which says for lurida (and virescens), "Elytra not narrowing towards the tip or only slightly and evenly so with elytra touching one another almost to the tip." To me that means if there's a gap between the elytra going half way up or more then it's got to be nobilis. Duff allows for "slight gaping" with "Elytra not markedly narrowed apically, the suture not or only slightly gaping" for lurida and virescens vs. "clearly gaping" for nobilis. I find both misleading. Looking through my photos of both species and photos online, there clearly is a difference in the extent of gaping, but to my eyes the gape on lurida is often pretty clear, even if it is never as wide as it usually is on nobilis. Some individuals seem a bit too close to call.
Males are of course easy, but for lurida that does depend on knowing it is a male and the keys don't make it particularly clear how to tell (Duff does show the apical sternite for females but not males).
There is also a difference in the shade of green but although this can be helpful I find it can also be difficult to assess on some individuals.
I'm still not completely sure I fully understand the differences between members of this genus. I think I need to collect one or two males and femalss of both of the common species and compare so I can properly get to grips with them.
The following individuals are the only ones I've identified confidently (well, fairly) as lurida. When going through my photos of nobilis I found a couple more that I'm pretty sure were misidentified lurida but without specimens to examine I'm not completely certain.
		 
	
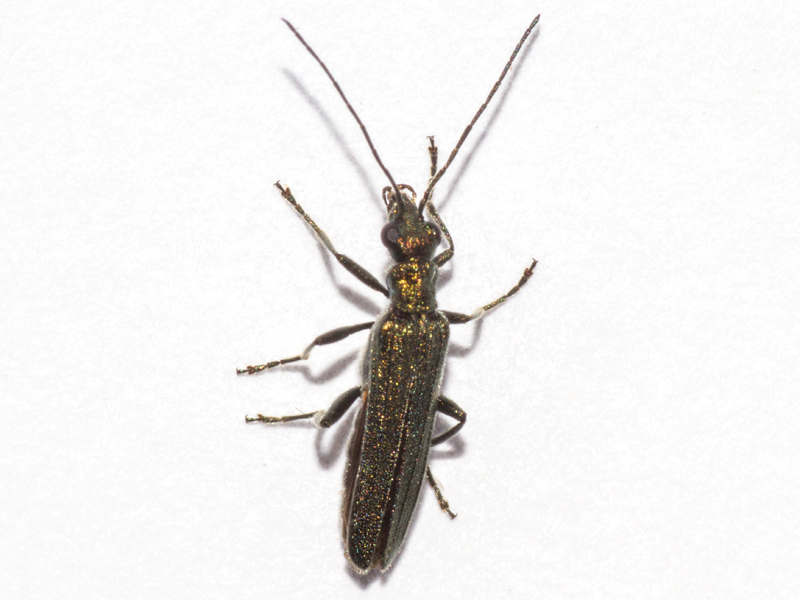
	Oedemera lurida, North Elmham Cathedral Meadows (Norfolk, UK), 26th June 2020
On this individual I *think* the appendages near the tip of the abdomen make it a male. Assuming I'm right then it has to be lurida despite a fairly obviously gaping gap between the elytra extending well up towards the base.
		, Gorgate, 15-May-24 (A) (1).jpg) 
		, Gorgate, 15-May-24 (A) (2).jpg) 
		, Gorgate, 15-May-24 (A) (3).jpg) 
		, Gorgate, 15-May-24 (A) (4).jpg) 
	
	Oedemera lurida, Wendling Beck Environment Project (Norfolk, UK), 15th May 2024
This one had similar appendages on one of the subapical sternites.
		, Badger Pit Wood, 26-May-25 (A) (1).jpg) 
		, Badger Pit Wood, 26-May-25 (A) (2).jpg) 
		, Badger Pit Wood, 26-May-25 (A) (3).jpg) 
	
	Oedemera lurida, Wendling Beck Environment Project (Norfolk, UK), 26th May 2025
		 
	
	Oedemera lurida, North Elmham Cathedral Meadows (Norfolk, UK), 20th July 2020
		 
	
	Oedemera lurida, North Elmham Cathedral Meadows (Norfolk, UK), 15th August 2019
